作者AreLies (AreL1e5)
標題[心得] 調查技嘉於 INTEL BASELINE 設定之 PL2
時間2024-05-01 17:28:59
全文標題:跟進調查技嘉於 INTEL BASELINE 設定之 PL2 188W 與 AC_LL 1.7 的來由~
技嘉沒有錯!
原文轉自 UNIKO's Hardware
網頁好讀版:
https://reurl.cc/KeQjee
https://i.imgur.com/yZLkZZZ.jpeg
在上一篇技嘉最新 INTEL BASELINE 設定的報導 (
註一),UH 揭示技嘉針對 i9-13900KF Q
S 設下 PL1 = 125W / PL2 = 188W / ICCMAX=249A / AC_LL=1.7,惹來一些爭議和指責。這
裡筆者先簡單回應一下,QS CPU 其實在業界被廣泛使用,從廠商到媒體,由測試到驗證,
都可看到 QS 的身影。無論是 QS 還是 ES1 / ES2 / ES3,按 INTEL 定義它們本質上都是
ES,也就是工程版 / 非正式零售版。
QS 相對於 ES,在 CPU IHS 上和 CPUZ / HWINFO 裡,都有明顯的分別。而從近代的 ES QS
來看,QS 基本上沒有 ES 會有的 BUG。UH 也有向板廠查詢 QS 的性質,獲回覆 QS 非常
接近正式版,基本上沒分別,有些 DDR5 QVL 也是用 QS CPU 去做的。另一方面筆者的 i9-
13900KF QS 也能跑到 R23 MULTI 40000 分,沒有任何異常。
註一:
https://unikoshardware.com/2024/04/gigabyte-intel-baseline-bios
回到主題,現在已有其他媒體和技嘉 Z790 使用者指出,就算是 i9-13900K / i9-13900KF
的正式版 CPU,技嘉的 INTEL BASELINE 設定也是 PL1 = 125W / PL2 = 188W / ICCMAX =
249A / AC_LL = 1.7。華碩那邊據說是 PL1 = 253W / PL2 = 253W / ICCMAX = 280A / AC_
LL = 1.1,加上 INTEL 最新的官方文件 (743844-009) 也是指定 AC_LL 最大 1.1,那麼值
得探討的問題便是為何技嘉設定成這樣。
有外國媒體指出這或許是 BUG,筆者認為既然是刻意定下的值,說是 BUG 難道代表背後的
工程師有不同的想法?讓我們深入探討下去!
INTEL BASELINE 苦海裡翻起的愛恨情仇
封面圖片來自 INTEL 12TH 其中一份 POWERPOINT,名稱是 BLUEPRINT SERIES - 12TH GEN
INTEL CORE PROCESSORS。
GUY THERIEN,此君在這幾天成為全 INTEL 最有名的人,他也有在這份 PPT 裡出現,剛好
就是負責介紹 POWER 的部份。
所以 INTEL 從 12 代開始,就更新了 POWER DEFINITION (功率目標定義),引入 2 種設定
,例如 i9-12900K 可以採用 PL1 = 125W / PL2 = 241W,也可以採用 PL1 = PL2 = 241W,
這都是 INTEL 指定的功率規範。從這一點可看到技嘉的 INTEL BASELINE 雖然不是 PL1 =
PL2 = 253W,但也不一定是亂來的,因為 INTEL 就同一核心規格例如 8P + 16E,並不只有
一種建議功率設定。
另外值得再強調的地方是 PL1 與 PL2,如圖所示 PL1 才是長期運行的功率目標,PL2 只是
短暫的最大功率目標,所以技嘉於 INTEL BASELINE 設定所定下的 PL1 = 125W / PL2 = 18
8W,本質上最影響 CPU 的還是 PL1 = 125W。
這也是為什麼 CINEBENCH R23 在 PL1= 125W 的情況下由原來無限功率的 40000 MULTI 降
至 PL1 = 125W 設定的 28000 MULTI,這近 30% 的降幅源於 R23 本來就能跑到 300W 以上
,所以在 125W 的限制下自然大幅影響成績;遊戲方面則還好因為遊戲一般就只吃約 150W
,所以相對於鎖 PL1 = 125W,10% 以內的性能變化也是合理的。
也因為 INTEL 在 12TH 更新了 POWER DEFINITION,這代表 INTEL 是可以改動自家的 DEFI
NITION 的。公道地說,拿 INTEL 在 2019 年說的"IN SPEC"來看 2024 年今天的"OUT O
F SPEC",怎麼看都不合理。
架構、製程、核心數量、頻率上限都不一樣,怎麼會強行套用以前的 DEFINITION。INTEL
說了算是無可厚非的,只要底子夠厚。
https://i.imgur.com/Y7Ax6Ty.jpeg
https://i.imgur.com/fdE93HY.jpeg
https://i.imgur.com/ZqU1wSF.jpeg
接下來要看的,筆者也不賣關子了,就一句,技嘉的 INTEL BASELINE 設定裡,為 TDP 125
W 的 8P+16E 例如 i9-13900KF 定出 PL1 = 125W / PL2 = 188W / ICCMAX = 249A / AC_
LL = 1.7,並非技嘉自創,而是據說由 INTEL 指定的。只是,好像過期了。以下是筆者找
到的一些蛛絲馬跡:
‧ 關於 INTEL 743844 文件,INTEL 現更新至 REV 009,官網上可看到由 002 起的版本,
但只能下載最新 009 的版本。
‧ 009 版本裡有清晰列出各 REV 的改動地方,但沒有詳細交待改了什麼,例如 XX 變為 Y
Y。
‧ 版本變動介紹裡,有提到 INTEL 在 003 版本,更新了 POWER SPECIFICATIONS,也就是
PL1、PL2 等建議值。
https://i.imgur.com/I470lmn.jpeg
https://i.imgur.com/GU90Oot.jpeg
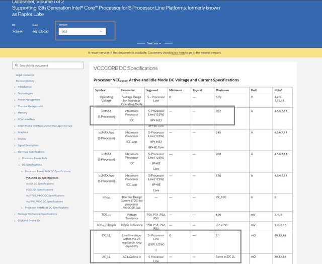
‧ 在 002 版本裡,13TH 8P + 16E 的 PL1 和 PL2,分別是 125W 和 188W,這是 INTEL
在 2022-10 公開的規範。
‧ 文件裡所提到的 S-PROCESSOR LINE LGA,代表 RAPTOR LAKE-S (13TH): S REFRESH-PR
OCESSOR LINE LGA 代表 RAPTOR LAKE-S REFRESH (14TH)。
https://i.imgur.com/521kPJm.jpeg
https://i.imgur.com/fP8MzdV.jpeg
‧ 可是關於 AC_LL 和 ICCMAX,002 的版本所指定的最大值也分別是 1.1 和 307,這部份
與最新的 009 版本一致。
https://i.imgur.com/BdTbciK.jpeg
所以從 INTEL 已公開的 743844 文件,技嘉針對 13900KF 所設下 PL1 = 125W / PL2 = 18
8W / ICCMAX = 249A / AC_LL = 1.7,只有 PL1 = 125W / PL2 = 188W 的部份是曾被 INTE
L 列入文件裡且還能被找到,ICCMAX = 249A / AC_LL = 1.7 的部份則從未出現在 002、00
3、004、005、006、007、008 和 009 裡。
由於技嘉的 ICCMAX = 249A,仍然在 INTEL 的 307A MAX 範圍內,所以至少是合格的。但
是 AC_LL 1.7 的設定則超出 INTEL 的 AC_LL 指定最大值 (1.1),在 002 版本裡 INTEL
只寫上 S PROCESSOR LINE (13TH) 的 AC_LL 最大是 1.1,在最新的 009 版本裡 INTEL 是
有寫過 AC_LL MAX = 1.7,但那是指 35W 的 13/14TH 桌上型 CPU,又或是筆電型 CPU 了
。
https://i.imgur.com/hwkyb5s.jpeg
那是否代表技嘉在 AC_LL 和 DC_LL 上完全出錯?好像也不是,因為筆者也曾看過以下一張
由 IGORSLAB 爆料的圖片,這被傳是 INTEL 在 2021 年定出的規範。
圖片中的 RPL S 125W 應該就是 RAPTOR LAKE-S 125W CPU 例如 13900K,關於 AC LL 的部
份 INTEL 的 BASELINE 的確是 1.7,PL1 = 125W / PL2 = 188W 也是 INTEL BASELINE,只
是 ICCMAX 的 BASELINE 不是技嘉現設定的 249A 而是 200A。筆者收到以下的圖片時有看
到備註,意思大概就是"仍未落實"。
RAPTOR LAKE-S REFRESH (14TH) 是在 2023 年 10 月推出,RAPTOR LAKE-S (13TH) 約在 2
023 年 9 月推出,而 743844 的首發版 (REV 001) INTEL 也沒有 (再) 公開了,發佈前的
資訊官方當然也不會公開也不會承認,所以在這一刻筆者也無法找到非常有力的證明替技嘉
的 BASELINE AC_LL 1.7 辯護。
https://i.imgur.com/PsUgJI6.jpeg
https://i.imgur.com/hMnHvZ9.jpeg
簡單來說,如技嘉日本在 TWITTER 上所說,沒事不要開啟技嘉 INTEL BASELINE 模式。
筆者也曾示範,在手動開啟技嘉 INTEL BASELINE 模式後,CPU 核心電壓據 HWINFO SUPER
I/O 回報是有可能達到 1.55V,據其他使用者回報,也看過 > 1.60V 。所以筆者只能建議
,CPU 沒事不要用技嘉的 INTEL BASELINE 模式,如使用技嘉 INTEL BASELINE 模式,請不
要手動關閉 C-STATE 等功能,使 CPU 核心電壓不會長期停留在 1.50V 以上。
由 IGORSLAB 公開 INTEL 回應中,INTEL 提到在 2024-5 將正式公佈 INTEL BASELINE 設
定,筆者是認為,也不差這幾天 / 這一個月,沒必要使用現在各板廠的 INTEL BASELINE
模式,除非你也在用 ES / QS 的 CPU。
https://i.imgur.com/VrCEWKE.jpeg
AC_LL 越高,SVID 給出的 CPU 核心電壓就會越高,所以板廠一般都會自行調整 AC_LL,在
預設情況下已為使用者降低 CPU 核心電壓。
I
NTEL 指定 AC_LL 1.1 的結果,其中之一自然是 CPU 核心電壓有機會達到 1.50V 以上。
筆者在 14900K 發佈時,看了非常多家評測,發現 R23 MULTI 的分數各家由 35000 至 430
00 不等。
筆者是認為,ICCMAX 與 AC_LL 對於 CPU 的功率和電壓以及性能都有重大影響,PL1 跟 PL
2 倒是還好。所以對於現在已遇上系統不穩的 13/14TH CPU 使用者,筆者的建議是,先直
接降頻,例如 P-CORE 5G 好了,其他先別動。如果真的想使用 INTEL 的建議,那麼除了 P
L1、PL2 ICCMAX 外,也可以手動設定 AC_LL 80 / 90 這些比較接近 INTEL 指定 AC_LL 11
0 的值,來降低 CPU 核心電壓和溫度壓力,除非你毫不擔心因為 INTEL 所指定的最大核心
電壓是 1.72V。
不過根據 CHIPHELL一位自稱開設工作室的網友回報 (
註二),對於某些 CPU,INTEL BASEL
INE 也救不了你,看來現在也不是哪家搶先跟進 INTEL BASELINE 模式就能完美逃脫這次風
波。
註二:
https://www.chiphell.com/thread-2601877-1-1
你以為 1.72V 很瘋嗎,INTEL 好像是說,1.72V 是 VCC SENSE,所以換算 SOCEKT SENSE,
應該是 1.80V 了。
對於 AC_LL 110 的擁護者,筆者只能說你真的很勇。
The voltage specification requirements are measured across Vcc_ SENSE and Vss_
SENSE as near as possible to the processor.
A superior board design with a shallower AC Load Line can improve on power, perf
ormance and thermals compared to boards designed for POR impedance.
INTEL, NOTES (Processor VCCCORE Active and Idle Mode DC Voltage and Current Spec
ifications (S and S-Refresh Processor Line)
板廠與 INTEL 之間當然有很多設計文件是不會公開的,技嘉的 249A 1.7 也許只有 INTEL
自己知道。什麼 BASELINE / PERFORMANCE / EXTREME 的 POWER DELIVERY PROFILE,BASEL
INE 一詞就沒有在 INTEL 743844 文件裡的 POWER 部份出現過,以 INTEL 743844 文件來
判定技嘉現在的 INTEL BASELINE 設定還是有失公允,什麼是 INTEL BASELINE 直至這一秒
INTEL 也沒公開說過。
只是,什麼 EVALUATING UNLOCKED DESKTOP PROCESSORS IN THEIR DEFAULT CONFIGURATION
WILL ASSESS THE BEST MAXIMUM PERFORMANCE CAPABILITY,那倒是 INTEL 自己寫在 PPT
的第一頁。
https://i.imgur.com/na5S7V3.jpeg
資料來源 1
https://reurl.cc/8vpnpX
資料來源 2
https://reurl.cc/9vpX1V
資料來源 3
https://reurl.cc/1vm40V
資料來源 4
https://reurl.cc/1vm40V
--
Sent from my Nothing A065
○ PiTT
// PHJCI
--
※ 發信站: 批踢踢實業坊(ptt-club.com.tw), 來自: 223.139.81.133 (臺灣)
※ 文章網址: https://ptt-club.com.tw/PC_Shopping/M.1714555741.A.180
推 labbat: 眾說紛紜 180.177.2.153 05/01 17:35
推 wahaha99: AMD就沒這麼多毛 幹嘛搞自己 118.169.41.49 05/01 17:38
推 KS571: 買AMD結案118.232.105.167 05/01 17:40
推 keyman2: 雖然被迫背了黑鍋 但是我不會買雞排 36.224.103.230 05/01 17:41
推 Kazama168: 技嘉給的baseline跟QS根本沒關係,正式125.230.214.199 05/01 17:42
推 Reji: 我妹上包養網被我發現= =125.230.214.199 05/01 17:42 → Kazama168: 版也是給那麼[怪125.230.214.199 05/01 17:42
推 E6300: 通通100W就不會縮了吧 1.172.220.199 05/01 17:42
推 iceyeman: 我AMD 設溫度牆 -20 鎖電壓 鎖頻率 61.228.35.226 05/01 17:44
→ iceyeman: 打完收工 61.228.35.226 05/01 17:44
→ Clarkliu: 1.72V真男人 125.231.37.178 05/01 17:46
推 Hathael: 隔壁桌的人竟然在討論包養... 125.231.37.178 05/01 17:46 推 hushaoan88: 看不太懂 留言當作看懂了 118.233.246.11 05/01 17:46
推 SPDY: 問題是baseline 是不才是接近Intel出廠體質 36.229.10.65 05/01 18:02
→ SPDY: 不建議用? 遇到不用不穩的體質除此還能怎樣 36.229.10.65 05/01 18:03
→ dos01: 原來如此 是這麼一回事嗎? 182.155.78.98 05/01 18:03
推 mrme945: 好好一個腳位搞到只剩最初一代12th能用 111.71.213.41 05/01 18:05
推 yovroc: 樓上是不是被包養 111.71.213.41 05/01 18:05 推 greg7575: 這鍋,印度人不揹 27.53.57.166 05/01 18:12
→ ganbee: 懂電腦的都覺得很麻煩,還以為PC進步到要設 1.34.242.156 05/01 18:19
→ ganbee: 的東西越來越少,看來Intel讓你體會20年前 1.34.242.156 05/01 18:20
推 Kowdan: 我看了半天看不懂,但想一想我和朋友全部 118.169.22.11 05/01 18:24
推 PRODIGALEX: 看來一下覺得:買AMD就好,為何要搞自114.136.127.193 05/01 18:24
推 helgalie: 未看先猜這包養網114.136.127.193 05/01 18:24 → PRODIGALEX: 己?114.136.127.193 05/01 18:24
→ Kowdan: 用AMD,所以INTEL這鳥事扯不到我 118.169.22.11 05/01 18:24
→ justice2008: 低階i3 i5應該沒事吧? 還好我不玩i9 114.32.14.43 05/01 18:25
推 kenuser: 大家還是intel會因為這樣改推AMD嗎?223.137.214.216 05/01 18:26
→ amos30627: 以我的經驗一樣選intel 101.9.38.103 05/01 18:27
推 OREOMZA: 一定又是這包養網 101.9.38.103 05/01 18:27 → amos30627: AMD推朋友買推不動 101.9.38.103 05/01 18:28
→ ganbee: 你確定你的朋友是雙的嗎?我朋友連配備都不 1.34.242.156 05/01 18:29
→ ganbee: 會問.(修正:雙向)_ 1.34.242.156 05/01 18:29
推 oppoR20: i皇擺爛但跟diy市場8成無關223.139.166.100 05/01 18:29
→ oppoR20: 因為頂規出事 最大眾的使用者無感223.139.166.100 05/01 18:30
推 punjab: 包養平台不意外223.139.166.100 05/01 18:30 推 knml: 結論:買AMD就好 1.160.146.8 05/01 18:39
推 AerobladeIII: 死忠的電到3.87v還是一樣買啦,不 111.246.13.210 05/01 18:58
→ AerobladeIII: 要質疑I粉信仰 111.246.13.210 05/01 18:58
推 Neight: 這啥麻煩的CPU.... 36.226.156.101 05/01 19:00
推 mtc5566: 現在會推intel的 大概只剩庫存山積的通路 27.53.176.151 05/01 19:05
推 sashare: 覺得包養網EY嗎 27.53.176.151 05/01 19:05 → mtc5566: 店員了 27.53.176.151 05/01 19:05
推 suifong: 板廠乖乖低頭好嗎?沒有美國核心晶片輝達 27.242.199.159 05/01 19:11
→ suifong: 、英特爾、超微,甚麼都不是。 27.242.199.159 05/01 19:11
推 SHR4587: 目前看起來還是照之前有人提供整理的1314 220.136.21.226 05/01 19:14
→ SHR4587: th的PL1/2 IccMax表格去填建議值就好,真 220.136.21.226 05/01 19:14
推 sijiex: 包養網站葉配啦 220.136.21.226 05/01 19:14 → SHR4587: 的不穩再調baseline模式 220.136.21.226 05/01 19:14
推 carstenlh: 如此專業的文章...我一定是看不懂的 114.137.204.65 05/01 19:35
推 aegis43210: PL2才188w太低了,以13代i9來說,PL2 106.104.74.182 05/01 19:35
→ aegis43210: 到241w才能發揮性能,只是電壓要在1.4 106.104.74.182 05/01 19:35
→ aegis43210: v以下 106.104.74.182 05/01 19:35
推 VLADINA: 記者收了包養網多少啦 106.104.74.182 05/01 19:35 推 jk20015g: 難怪刷了新版Bios會看到AC/DC 170這數字 122.116.195.4 05/01 19:41
→ jk20015g: 還看到電壓到1.7多 馬上手動改回去QQ 122.116.195.4 05/01 19:41
推 SPDY: 電壓1.6v就已很猛了 1.7v不擷圖紀念一下嗎? 36.229.10.65 05/01 20:06
→ Kowdan: 不過聽有在賣電腦的,CPU賣最好的是12400F 118.169.22.11 05/01 20:06
→ Kowdan: 所以大多使用者還真的不會碰到這問題 118.169.22.11 05/01 20:06
推 odemagus: 包養真亂 118.169.22.11 05/01 20:06 → freezeraven: 看ASUS還有MSI要不要吞這次了 36.225.85.153 05/01 20:09
→ jasonkey123: 是在玩電腦,還是被電腦玩???? 1.162.149.48 05/01 20:20
→ amd7356: 還好我沒開自己調= = 61.231.45.182 05/01 20:36
→ kikoyo: rev就好 解釋那麼多幹嘛?? 114.32.98.250 05/01 20:46
推 papaparun: 188不就125+253平均 再減1以策安全 59.127.251.242 05/01 21:23
推 yes500: 演藝圈一堆包養好嗎 59.127.251.242 05/01 21:23 推 dkchronos: 我還是繼續買AMD好了 36.233.97.159 05/01 21:34
推 franchy: 學AMD發AGESA? 給板廠這麼多能調就這樣 220.136.29.36 05/01 21:48
推 neverlight: 記得以前搞這些cpu破事是AMD的專屬「 114.40.10.32 05/01 22:01
→ neverlight: 樂趣」 114.40.10.32 05/01 22:01
推 leviva: ACLL 1.7, 大概會讓銷售量直接歸零,誰要111.243.150.226 05/01 23:21
推 alexantiy: 政治圈一堆包養好嗎111.243.150.226 05/01 23:21 → leviva: 電壓1.7v, 效能降低1/3, 溫度穩跑100度111.243.150.226 05/01 23:21
→ leviva: 的垃圾111.243.150.226 05/01 23:21
推 verdandy: 賣給不知情的非玩家 121.254.78.44 05/01 23:39
→ Koogeal: 丞相~~~風向變了*(這張梗圖終於有新用法 59.115.11.245 05/01 23:50
推 sowrey: 有錢人一堆包養好嗎 59.115.11.245 05/01 23:50 → Koogeal: 了) 59.115.11.245 05/01 23:50
推 nucleargod: 還好我買AMD 36.227.195.5 05/02 00:42
→ sachialanlus: 這年頭 intel 真的破事一堆 一下子 118.160.63.22 05/02 02:12
→ sachialanlus: CEP 一下子 PL2 下一代還要抽抽樂 118.160.63.22 05/02 02:12
→ paul40807: Intel跟蔚藍檔案相同的地方都是「我的 111.255.92.150 05/02 04:03
推 cw758: 學生妹被包養多嗎 111.255.92.150 05/02 04:03 → paul40807: 問題」 111.255.92.150 05/02 04:03
推 ltytw: 這些問題根源 不就沒有新製程 新架構 114.33.46.227 05/02 07:11
→ ltytw: 印要1年出一代但不能比前代效能低 只好硬 114.33.46.227 05/02 07:12
→ ltytw: 電上去 114.33.46.227 05/02 07:12
→ ltytw: 但我覺得intel的core ultra mobile CPU 114.33.46.227 05/02 07:14
推 ludi: 亞洲最大包養網上線啦 114.33.46.227 05/02 07:14 → ltytw: 挺好的 為何不拿去給桌面端用? 114.33.46.227 05/02 07:15
推 greg7575: 有一定的機率刷新bios死更快的意思w111.251.220.129 05/02 07:20
推 jaceda: 還好我買AMD,不過最近用photoshop最新版 61.66.146.179 05/02 08:53
→ jaceda: 疑似會當掉,降回舊版就能正常 61.66.146.179 05/02 08:54
→ jaceda: 但是另一台Intel用最新版PS不會當 61.66.146.179 05/02 08:55
推 peernut: 我哥上包養網被我抓包.. 61.66.146.179 05/02 08:55 推 sporocyst: 意思是技嘉的baseline不是baseline? 61.220.78.2 05/02 08:55
→ jaceda: 問了Adobe希望有解答 61.66.146.179 05/02 08:56
推 yenchieh1102: 意思是Intel還沒承認baseline的同 42.71.234.55 05/02 09:30
→ yenchieh1102: 時,技嘉的baseline設定是有憑有據 42.71.234.55 05/02 09:30
推 iceyeman: 下一代AMD也用大小核 應該也一樣調到哭 220.138.48.204 05/02 10:50
推 xikimi: 有人包養過洋鬼子嗎 220.138.48.204 05/02 10:50 → amd7356: adobe就別堅持了 用intel吧 不然就是乖乖 61.231.45.182 05/02 10:52
→ amd7356: 降回舊版 61.231.45.182 05/02 10:52
→ amd7356: 我去那邊問問題常常答非所問 都放棄了 61.231.45.182 05/02 10:53
推 rockman73: 結論是買AMD嗎 125.14.64.68 05/02 11:02
推 dos01: adobe是知名的A黑公司 明明全都是A公司 182.155.78.98 05/02 11:12
推 Avero: 有錢人為啥都想包養 182.155.78.98 05/02 11:12 → dos01: 用adobe的還是乖乖去用I吧 182.155.78.98 05/02 11:13
推 wylscott: Intel這樣...15代誰敢在初期買i7i9 203.75.79.146 05/02 11:21
→ tokikaze: amd的小核跟intel又不是同一種東西。 36.236.234.186 05/02 14:00
推 SHR4587: Intel 這次的問題又不是大小核 220.136.21.226 05/02 14:06
推 Windcws9Z: 你有多勇? 59.127.190.36 05/02 15:51
推 ejoz: 有人被洋鬼子包養過嗎 59.127.190.36 05/02 15:51 → Windcws9Z: 我CPU電壓1.80V 59.127.190.36 05/02 15:51
推 lc85301: 製程用 180nm,電壓 1.8V 沒問題(X111.249.147.227 05/02 16:02
推 cancelpc: I有提供一些領域優化過的Lib,供類似Ado 112.78.71.210 05/02 16:10
→ cancelpc: be,python等使用 112.78.71.210 05/02 16:10
推 cancelpc: 結論買A,再怎麼調也早死vs晚死,拖過RM 112.78.71.210 05/02 16:15
推 FishRoom: 到底要多有錢才會想包養 112.78.71.210 05/02 16:15 → cancelpc: A就買新的。 112.78.71.210 05/02 16:15
推 GGME: 電壓1.8路過,直接電壞超不上去QQ 110.28.9.199 05/02 19:10
推 SPDY: 安全電壓Intel說是1.72的樣子... 36.229.12.23 05/02 19:42
→ SPDY: 我不敢實測多傷...頗意外沒設為硬性上限嗎? 36.229.12.23 05/02 19:42
→ Clarkliu: 應該說上限1.72 但是會設定各種限制平常 125.231.41.19 05/02 19:44
推 KsiR: 閨蜜上包養網還推薦我... 125.231.41.19 05/02 19:44 → Clarkliu: 不會出現(理想中 現在出現了 I社和板廠 125.231.41.19 05/02 19:45
→ Clarkliu: 各種撕逼 125.231.41.19 05/02 19:45
→ leviva: G牌這是跟大英同歸於盡? 39.9.40.35 05/02 20:13
推 jaceda: 結果PS會當機不是AMD的錯,是新注音的錯.. 61.230.111.202 05/02 20:36
推 peoples: 包養? 61.230.111.202 05/02 20:37